the weather this morning was cold and wet, made the inside of the house feel clammy and uncomfortable, had me think about turning on my heat. last year i didn't turn on the heat until october 29th, 
the fact that i have to manually rewire the cafe nest thermostat twice a year is the solution we came up with after two different HVAC guys couldn't solve our problem: when the AC and heat wires are both connected to the thermostat, the heater can draw enough power from the AC and will go into a clicking death spiral. maybe there's a better fix, but rewiring the thermostat (swapping out 4 wires) is a doable hack since i only need to do it twice a year.
after i got the thermostat working (we tested it to make sure), i helped my father move the basement upright freezer. just from my own personal battle leveling my new home fridge, i've gotten used to clearing out the fridge to make it light enough to then move it. this is to make room for a matching upright freezer arriving on wednesday. chest freezers are the most energy efficient, but the time spent with the lid open rummaging through the chest to look for things might make them less economical. once the new upright freezer arrives, my father will transfer all the frozen food from the basement chest freezer and leave it unplugged as a backup.

afterwards i went outside to take photos of the plants in the rain. the heavy rain had stopped for the most part, but there was still a bit of a shower. not enough to get my clothes wet, 
after a tour of the outside, i made an inspection of our indoor garden in the basement. even though i didn't see any mealybugs, i brought our 5 orchids to the sink and sprayed them with neem oil. 
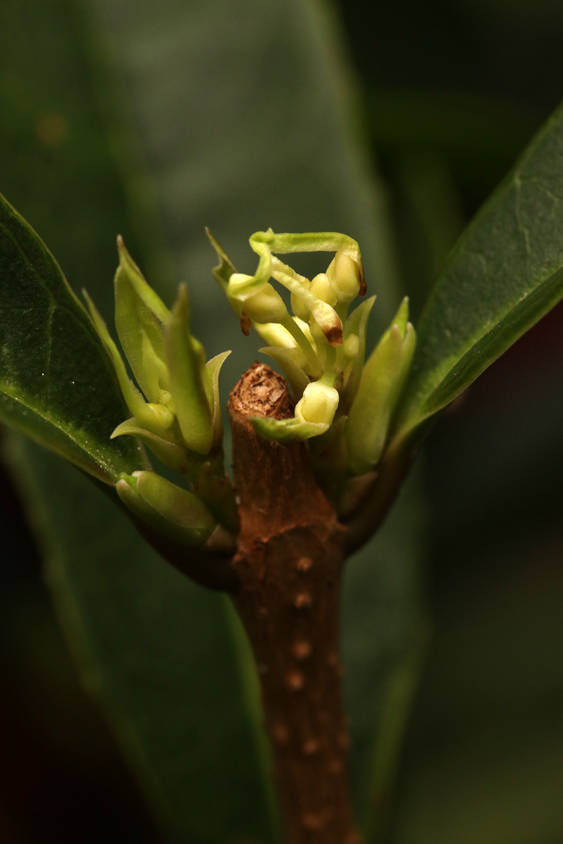
my father has become an osmanthus scientist, studying our fudingzhu plant with a flashlight whenever he has the chance, occasionally remarking how fragrant it is. it sits in a place of honor in the dining area, 
we finally cooked up some fermented long beans, after several jars have started to form yeast mats on the surface of the fluids. this can easily happen when the beans aren't completely submerged. the beans were still firm, but with a fermented sourness, saltiness, and slight spiciness. after dinner my mother told me to take home the leftover minced pork with fermented long beans so i can have it with rice porridge.
amazon deliveries are running later and later, some as late as 10pm. don't these delivery drivers ever get a break? now they're being pushed into overtime, i hope they get paid more for evening deliveries. anyway, my $50 6-tier wire shelving unit arrived today after dinner. when my father gave me a ride back to cambridge, i brought the shelf with me.
later in the evening i started piecing together the shelf. i used my previous 6-tier shelving unit as a guide. each shelf was spaced 12 inches away from one another, with one shelf 13 inches. i started doing that but the problem is this shelving unit will be used as a plant stand, so it should be custom-fitted to my houseplants. originally i was thinking the largest umbrella plant on top, but it made more sense for it to be on the very bottom, if nothing else for safety reasons. i placed the plant on the bottom-most shelf, then adjusted the next level accordingly. the 2nd shelf would be for my thanksgiving cactus. above that the prayer plants, followed by my pileas and solitary aloe on the 4th shelf, and finally two more smaller umbrella plants on the topmost 5th shelf. i didn't add the 6th shelf, but decided later to put it in above the pileas and aloe. i also experimented with a 2ft led string grow light, in case i needed it.
after i had everything to my liking i realized i made a mistake: i couldn't put any plants on the topmost shelf because that layer is above the window of my french door so it'd never get any sunlight. so i had to re-adjust all my plants, crowding them a bit more together, so i can open up a shelf for the umbrella plants. i set up the shelf in the living room, i'll move it into my kitchen dining area by the french door tomorrow morning.
while examining one of my umbrella plants, i noticed some aphids feeding on one of the tender new sprouts. i brought it into the bathroom and sprayed it with insecticidal soap. that reminded me of something that happened in belmont today, when my father noticed sticky droplets on a pepper plant leaf, and discovered a few aphids. i sprayed it with neem oil in the kitchen sink. keeping houseplant pests at bay will be one of my wintertime routines.
